Каким будет метробус в Воронеже и почему пришлось отказаться от первоначальной концепции
В бесконечной битве с городскими пробками воронежцам на протяжении нескольких лет обещают чудо-оружие — метробус. В этом году проект наконец-то переходит от обсуждения к реализации. Работы должны начаться летом, когда условия для этого наиболее благоприятны. «TV Губерния» выяснила, каким в итоге будет воронежский метробус.
Бюджетное «метро»
Преимущество метро перед другими видами общественного транспорта очевидно — прежде всего, оно позволяет передвигаться по городу без пробок. Каким бы ни оказался поток пассажиров в час пик, расписание поездов неизменно. Но подземка для Воронежа остаётся недостижимой роскошью. Даже в самом скромном исполнении её стоимость окажется запредельной.
Чтобы сделать поездку по городу такой же предсказуемой, был разработан новый способ организации общественного транспорта — метробус.
Смысл метробуса в том, что общественный транспорт движется по выделенному пространству посреди проезжей части. На этих изолированных полосах могут курсировать и автобусы, и троллейбусы, и электробусы — главное, что благодаря отсутствию помех со стороны другого транспорта выдерживается график движения. Ещё одно сходство с подземкой — площадки для пассажиров. Они больше похожи на станции метро, чем на привычные остановки. Там устанавливают турникеты и терминалы оплаты, а также схему линий метробуса и электронное табло со временем прибытия транспорта.
Метробус позволяет заметно увеличить скорость общественного транспорта при ограниченных вложениях. Иногда эту систему иронично называют «метро для бедных».
Перспективное решение
Бюджетное «метро» можно увидеть в Буэнос-Айресе, Бостоне, Лос-Анджелесе, Стамбуле, Иерусалиме. Больше всего метробусов в странах Латинской Америки. Самая сложная система, которая охватывает весь город, действует в столице Колумбии Боготе.
В России опыт работы метробуса пока небольшой. Эту схему скоростного транспорта в 2020 году реализовали в Белгороде. Первый метробус там появился на улице Щорса — одной из главных в городе. По метробусной линии ходит обычный транспорт: как крупные «ЛиАЗы», так и небольшие маршрутки, в том числе и «ПАЗики». А вместо станций с терминалами и турникетами — обычные остановки, но установленные посреди проезжей части.
Опыт соседнего областного центра может стать полезным для нашего города. В конце 2021 года специалисты Российского дорожного научно-исследовательского института представили правительству Воронежской области конкретный проект по модернизации общественного транспорта. Эксперты предложили построить линию метробуса протяжённостью 22 км, которая свяжет Воронежский госуниверситет с аэропортом.

В этом случае ускорится и упорядочится движение общественного транспорта по Московскому проспекту, соединяющему центр города и Северный микрорайон. Пассажиры больше не будут стоять в пробках на одной из самых загруженных воронежских магистралей. А в перспективе метробус можно будет обустроить и на других главных улицах.
Подводные камни
Осуществление проекта воронежские власти решили отложить до завершения создания системы дублёров Московского проспекта, а также дороги, которая свяжет улицы Шишкова и Тимирязева. Эта предосторожность была нелишней, поскольку работы по созданию метробуса неизбежно вызовут пробки и заставят автомобилистов искать обходные пути. Но и после того, как машины пошли по улице Крынина и заработала система дублёров, за обустройство метробуса городские власти браться не спешили.
Перспективный проект не только сулил выгоды, но и гарантировал серьёзные проблемы. Ширина улицы Плехановской и Московского проспекта составляет по три полосы в каждом направлении. Если левую полосу отдать под метробус, а на средней создать остановочные платформы для пассажиров, то для беспрепятственного движения транспорта останется только крайняя правая полоса. Но беспрепятственным движение по ней не будет. Пассажирам необходимо попасть с тротуара на станцию метробуса и обратно.
Следовательно, на каждой остановке придётся обустраивать дополнительные пешеходные переходы. В итоге, на улице Плехановской и Московском проспекте смог бы ездить только транспорт метробуса, а весь остальной — стоять в сплошной пробке и проклинать новую схему движения.
Чтобы расширить на этих магистралях проезжую часть, придётся сужать тротуары, вырубать деревья и переносить все коммуникации. А это громадный объём работ и миллиардные затраты. Таким образом, от первоначальной схемы метробуса, созданной без учёта воронежских реалий, в итоге пришлось отказаться.
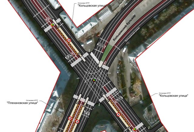
Метробус вместо выделенки
Как сообщили в региональном министерстве промышленности и транспорта, рабочая группа с участием проектировщиков, представителей областного правительства, администрации Воронежа и госавтоинспекции остановилась на другом варианте. Эксперты предложили организовать движение метробуса по краям проезжей части. Маршрут общественного транспорта пройдёт по существующим выделенным полосам. Перед запуском метробуса «выделенки» необходимо модернизировать. Первый этап работ планируется завершить к началу осени на участке от ВГУ до памятника Славы.
Как пояснил губернатор Александр ГУСЕВ, новая схема движения потребует заметного объёма работ.
—Для комфорта пассажиров не только при движении (сокращение времени в пути), но и во время ожидания автобуса проведём комплекс мероприятий. Так, после реконструкции уровень остановочных площадок будет соответствовать высоте пола автобусов – пассажирам не придется наступать на проезжую часть. Остановочные павильоны станут кратно длиннее, шире и будут оборудованы навесами. Чтобы предотвратить въезд легкового и грузового транспорта, планируем обособление выделенных полос с помощью делиниаторов – барьерных направляющих элементов. Они же не позволят водителям автобусов устраивать во время движения так называемые «шашки», — рассказал глава региона.
Кроме того, потребуется ликвидация парковок вдоль полосы метробуса и парковочных карманов, увеличение точек видеофиксации выезда на полосу метробуса. Планируется, что будут фиксироваться не только нарушения автомобилей, создающие проблемы автобусам, но и выезды автобусов за пределы отведённой полосы.
Таким образом, метробус не станет аналогом наземного метро. В то же время новая схема движения позволит автобусам двигаться быстрее и соблюдать установленные графики, считают власти.
МНЕНИЕ ЭКСПЕРТОВ
ЗА
«Выделенные полосы уже сегодня реально работают»
Игорь ТИТОВ, урбанист:
— В Белгороде скорость прохождения общественного транспорта на улице Щорса благодаря выделенным полосам по центру увеличилась в 2,5 раза. У нас в первоначальном проекте предполагалось, что скорость вырастет раза в два. В окончательном же варианте улучшения выделенок на Московском проспекте – всего на 20%. Да, это меньше. Но смысл тратить миллиарды и переходить на следующий уровень был бы, если бы выделенки располагались по всему городу. А у нас в других районах автобусы стоят в пробках. Поэтому пока лучше бросить силы на то, чтобы увеличить количество самых обычных выделенных полос с установкой камер фиксации нарушений.
Существующие выделенки уже сегодня реально работают. Необходимо их соединить в единую сеть, как того требует стратегический транспортный план города. По нему выделенки должны появиться на ул. Ленина, Кольцовской и Ленинском проспекте. Так же я слышал о планах вводить выделенные полосы на проспекте Революции вместо парковочных мест. Это существенно улучшит сферу общественного транспорта, позволяя людям быстрее добираться домой и на работу в часы пик.
Огораживать же выделенные полосы дополнительными средствами я считаю излишним. Как показал опыт, при наличии достаточного количества камер «выделенки» и без того эффективно работают, и водители соблюдают установленный режим.
ПРОТИВ
«Скоростного транспорта нам пока не ждать»
Виталий ИВАНИЩЕВ, общественник:
— Выделенные полосы — это хорошо. Приятно, что они будут не только нарисованы на асфальте, а получат длинные и высокие платформы, камеры видеофиксации, соответствующую разметку и прочее.
Но назвать такое решение метробусом будет неверно, и в этом надо честно признаться. Мы получаем не принципиально новую схему транспорта, а лишь модернизированные выделенки и остановочные павильоны.
Так что скоростного транспорта нам пока ждать не стоит. Пройдёт пара лет, и начнётся новый виток обсуждения очередного магистрального транспорта. Уже обсуждали монорельс, метро, легкорельс, метробус… К сожалению, результат был один и тот же.









Оставляя комментарий, вы соглашаетесь с политикой конфиденциальности и обработки персональных данных и правилами общения на сайте tv-gubernia.ru. Чтобы отслеживать ответы и реакции пользователей на ваши комментарии, необходимо авторизоваться.